Terreno en Venta en Valle Imperial , Zapopan , Jalisco
-
QR Code
Detalles básicos
Tipo propiedad:
Terreno
Operación:
En Venta
ID Listado:
MX261078678
Precio:
$1,850,000
Mantenimiento:
Llamar
Area terreno:
151.70 m²
Superficie construida:
-
Mapa
País:
Mx
Estado:
Jal
Ciudad:
GDL
Municipio:
Zapopan
Colonia:
Fraccionamiento Valle Imperial
CP:
45136
Calle:
Av. de la cantera
Número exterior:
702
Pisos:
0
Longitud:
W104° 33' 50.3''
Latitud:
N20° 46' 42.3''
Descripción propiedad

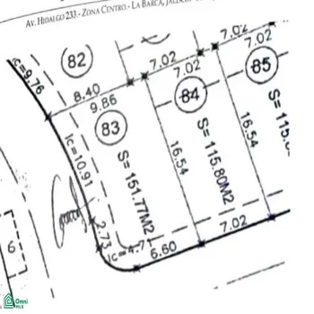
Terreno en venta en Capital Norte – Cantera Hábitat (En Esquina)¡Oportunidad única para construir! Asegura tu patrimonio en este excelente terreno de 151.
7 m² ubicado estratégicamente en esquina dentro de Cantera Hábitat.
Con un frente de 6.
60 m y un fondo de 10.
91 m, esta posición privilegiada te brinda mayores posibilidades de diseño, mejor iluminación y una plusvalía superior.
Ubicación y Entorno:• Vialidades: Acceso por Blvd.
Capital Norte y Av.
Valle Imperial.
• Servicios: Cercano a plazas comerciales, colegios de prestigio (Instituto Tepeyac) y servicios de salud.
• Seguridad: Coto privado con mantenimiento y vigilancia 24/7.
Detalles Clave:• Superficie: 151.
7 m² (Esquina).
• Dimensiones: 6.
60 m frente x 10.
91 m fondo.
• Documentación en regla y libre de gravamen.
¡No dejes pasar esta inversión en la zona de mayor demanda! Agenda tu visita hoy mismo y asegura tu lugar en Capital NorteLa disponibilidad y precios quedan sujeto a cambios sin previo avisoSe aceptan pagos con créditos, estos quedan sujeto a cambios por motivos de montos variablesContamos con políticas de no discriminación*Para cualquier aclaración y/o quejas, por favor mandar mensaje al siguiente correo: **Av.
, Santa Margarita #4099 Int.
A-15Plaza D-Lucca, Col.
Santa Margarita, Zapopan, Jalisco.
CP: 45138 **Tel: 33 14 54 52 00Horario de atención: Lunes a Viernes de 9:00 am a 6:00 pm, Sábados de 9:00 am a 1:00 pm.
*Aviso de privacidad:**PIZARRO RESTREPO Y ASOCIADOS INMOBILIARIA S.
A DE C.
V de nombre comercial PRYAGrupo Inmobiliario, es responsable del uso y protección de sus datos personales, en este sentidoy atendiendo las obligaciones legales establecidas en la Ley Federal de Protección de DatosPersonales en Posesión de los Particulares, a través de este instrumento se informa a los titularesde los datos, la información que de ellos se recaba y

Info vendedor
Alan Godínez
https://www.vitacasa.com.mx/
33 3712 4793
Tel: (33) 9627-5353 Tlaloc 266, Col: Ciudad del Sol, CP 45050, Zapopan